23 сен 2021 · Турлидер А. Тищенко

Японское море, сентябрь 2021

Японское море, пожалуй, одно из самых интересных мест для дайвинга во всей России. По привлекательности подводного мира оно не уступает разным всемирно известных дайверским направлениям, хоть и отличается от них суровостью и тяжелым нравом. Тем не менее это одно из любимых направлений нашего клуба, куда мы возвращаемся из года в год!

В августе мы снова отправились нырять на Японское море в бухту Витязь. И это снова было незабываемое путешествие, полное ярких впечатлений.

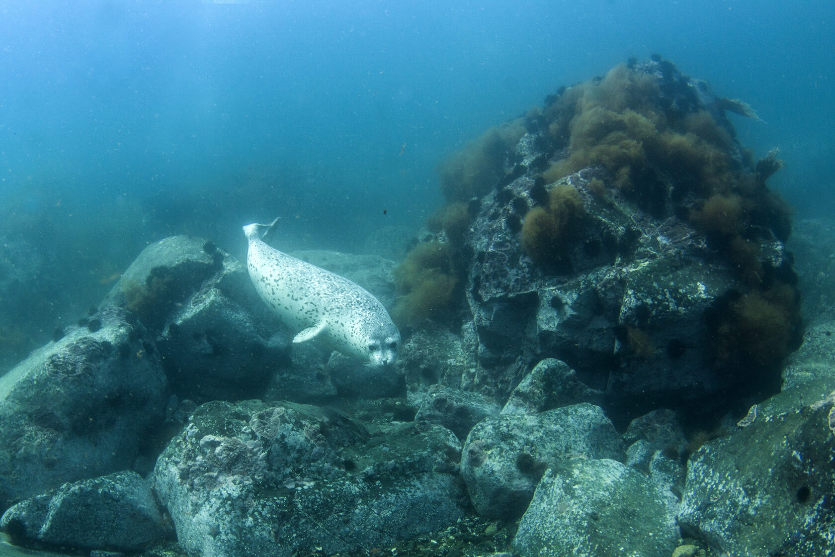
Главным впечатлением стали нерпы! В этих местах они совсем не боятся человека и подходят к нему максимально близко! При том, что это весьма толстенькие и очень проворные животные - впечатление они производят неизгладимое. Особенно, когда в порыве игривости прикусывают тебя за ласту.

Японское море, сентябрь 2021 Японское море, сентябрь 2021 Японское море, сентябрь 2021 Японское море, сентябрь 2021 Японское море, сентябрь 2021 Японское море, сентябрь 2021 Японское море, сентябрь 2021 Японское море, сентябрь 2021 Японское море, сентябрь 2021

На поверхности, впрочем, они смотрятся не менее впечатляюще. Недалеко от бухты есть каменная гряда, которую нерпы облюбовали в качестве лежбища. Там они отдыхают, нежатся на солнышке, лениво дремлют, посматривая на окружающие пейзажи через прищуренные от удовольствия глаза.

Подойти к ним близко в этом месте не получается. На поверхности нерпы не так уверены в своей неуязвимости, поэтому едва почуяв посторонне движение в опасной близости от лежки, они ловко и проворно падают в море. Но можно понаблюдать за ними с лодки, находясь на почтенном расстояние, которе, впрочем, не так уж велико. Можно разглядеть нерп по всех подробностях их наземной жизни и, разумеется, вдоволь пофотографировать. Иногда кажется даже, что они специально позируют, принимая на камеру причудливые позы.

Японское море, сентябрь 2021 Японское море, сентябрь 2021 Японское море, сентябрь 2021 Японское море, сентябрь 2021 Японское море, сентябрь 2021 Японское море, сентябрь 2021 Японское море, сентябрь 2021 Японское море, сентябрь 2021

Еще одним, не менее ярким впечатлением стали осьминоги. Строго говоря, именно они являются главным селебрити среди местной подводной фауны. На Японском море водятся гигантские осьминоги Дофлейна, которые являются самыми крупными осьминами во всем мире. Крупные особи могут достигать до нескольких метров в длинну. Однако увидеть их не так-то просто. Осьминоги прячутся в норах и выманить их - отдельное искусство. К счастью, наши дайв-гиды этим искусством владеют в совершенстве. Поэтому нам удалось не только увидеть осьминогов, но и довольно близко с ними пообщаться.

Японское море, сентябрь 2021 Японское море, сентябрь 2021

Еще один неизменный пункт программы любого путешествия в Приморье - это морепродукты. Точнее свежайшие морские деликатесы, которые та сам же и поднимаешь с морского дна!

Японское море, сентябрь 2021 Японское море, сентябрь 2021 Японское море, сентябрь 2021 Японское море, сентябрь 2021

Ну и как обычно, всех дайверов покорили своим обаянием смешные рыбы собачки. Это длинные рыбки с причудливой мордочкой, местный эндемик, они водятся только в этих местах. Обычно они прячутся в камнях или щелях, как мурены, так что торчит одна голова. Найти их не просто, но местные гиды знают одно место, где собачек действительно много, почти на каждом углу. Поэтому можно не просто увидеть этих удивительных созданий, но и рассмотреть во всех подробностях.

Японское море, сентябрь 2021 Японское море, сентябрь 2021 Японское море, сентябрь 2021 Японское море, сентябрь 2021 Японское море, сентябрь 2021 Японское море, сентябрь 2021

Японское море, конечно, сильно отличается и от Красного и от других тропических морей. На первый взгляд подводный мир может даже показаться скудным. Но это только на первый взгляд. Если присмотреться к этой подводной жизни, можно увидеть множество удивительных подводных обитателей, морских звезд, моллюсков, ракообразных. Здесь водятся разные виды рыб, а подводные пейзажи поражают своей мощью и брутальностью.

Японское море, сентябрь 2021 Японское море, сентябрь 2021 Японское море, сентябрь 2021 Японское море, сентябрь 2021 Японское море, сентябрь 2021 Японское море, сентябрь 2021 Японское море, сентябрь 2021 Японское море, сентябрь 2021 Японское море, сентябрь 2021 Японское море, сентябрь 2021 Японское море, сентябрь 2021

Хотите увидеть это все своими глазами? Присоединяйтесь к нашим дайвинг путешествиям. Актуальное расписание можно посмотреть здесь.

← Отчёты